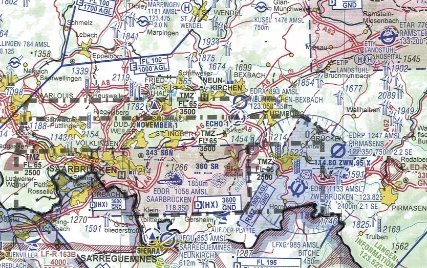
Der Ver­kehrs­lan­de­platz Pir­ma­sens liegt im nord­öst­li­chen Be­reich der RMZ Zwei­brü­cken. Der Platz­run­den­ver­lauf liegt teil­wei­se au­ßer­halb der RMZ.

 

Der Lan­des­be­trieb Mo­bi­li­tät Rheinland-​​Pfalz be­freit den Flug­platz­ver­kehr des VLP Pir­ma­sens, in­ner­halb des Sek­tors Pir­ma­sens (siehe Sicht­flug­kar­te EDRP AIP VFR), von der Funk­kom­mu­ni­ka­ti­ons­pflicht RMZ Zwei­brü­cken unter der Be­din­gung, dass Hör­be­reit­schaft auf der Fre­quenz „Pir­ma­sens Info“ ge­hal­ten wird.

 

Auf mög­li­chen In­stru­men­ten­flug­ver­kehr zum / vom Flug­platz Zwei­brü­cken ist vi­su­ell zu ach­ten. Die un­mit­tel­bar be­trof­fe­ne An- und Ab­flug­stre­cke ist in der Sicht­flug­kar­te Pir­ma­sens EDRP im Luft­fahrt­hand­buch AIP VFR dar­ge­stellt. Im Üb­ri­gen gel­ten die Re­ge­lun­gen der RMZ Zwei­brü­cken siehe NfL 1-1964-20.

 

In­ner­halb der RMZ und au­ßer­halb des Sek­tors Pir­ma­sens ist Funk­ver­bin­dung mit Zwei­brü­cken In­for­ma­ti­on 123.830 her­zu­stel­len. Von Pir­ma­sens INFO er­folgt keine In­for­ma­ti­on über IFR-​​Verkehr in Zwei­brü­cken.

 

An­flie­gen­de Luft­fahr­zeu­ge haben spä­tes­tens fünf Mi­nu­ten vor Er­rei­chen des Flug­plat­zes Sprech­funk­ver­bin­dung mit Pirmasens-​​Info auf­zu­neh­men. Im Flug­platz­ver­kehr ist Hör­be­reit­schaft auf­recht zu er­hal­ten. Wei­te­re Infos siehe NfL 1-1964-20 u. 1-1965-20.

WIR BENUTZEN COOKIES!!!

Wir nutzen Cookies auf unserer Website. Einige dieser Cookies sind essenziell für den Betrieb der Seite, während andere uns helfen, diese Website und die Nutzererfahrung zu verbessern (Tracking Cookies).



Sie können selbst entscheiden, ob Sie die Cookies zulassen möchten. Bitte beachten Sie, dass bei einer Ablehnung womöglich nicht mehr alle Funktionalitäten der Seite zur Verfügung stehen.



Sollten Sie sich "verwählt" haben, müssen Sie in Ihrem Browser das Cookie EDRP löschen. Dann bekommen Sie dieses Auswahlfenster wieder angezeigt.